
寒イサキ釣り攻略法~いつもの釣り方は通用しない!冬場はこの誘い方で挑め!~
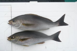
イサキは“麦わらイサキ”とも呼ばれるように、春が終わり初夏を迎えるころが出盛りの旬です。
この季節には30cmを超える大型もよく釣れますし、多点掛けも多いのでクーラー満タンの大漁も珍しくありません。
それでは、イサキは初夏の時期しか釣れないのかと言うとそんなことはなく、真冬の時期でも狙えば釣れる魚です。
しかも、寒の時期に釣れたイサキのお腹を開くと、白い脂肪でべっとり覆われています。
こういう魚は身にもよく脂が乗っていて、塩焼きにすると黄色い脂が滴り落ちて非常に美味しいですね。
今回は、そんな味わい深い寒イサキの攻略法をご紹介しましょう。
正確にタナ合わせする方法とは?
イサキはタナを釣れ、という名言があります。
それはタナを外すと釣れない魚だからです。
タナ合わせはリールのカウンターに頼る人が多いですが、その場合は釣りに出かける前に必ず、実際の数値とカウンターの数値が合っているかを確かめておくことが大切です。
電動リールの場合は特に、道糸が高切れして数値を合わせるときなどに多少の狂いが出るためか、使っている間に実際の数値とカウンターの数値が合わなくなることがあります。
そのため自宅で道具を用意するときは、電動リールをバッテリーに繋いで実際にPEラインを何mか引き出し、その数値が引き出したラインの長さと合っているかを確認しましょう。
もし大きな誤差があるようなら、再度道糸を全て引き出し、ライン巻きを設定して一から巻き直します。
また、PEラインの色分けと1m毎に付けてあるマーカーでタナを設定すれば、より正確なタナ合わせが可能です。
寒イサキは優しくゆっくり誘おう!
船がポイントに掛かったら、船長がタナを指示してくれます。
その指示ダナより下に3m、上に2m、合計5mの幅で細かくコマセを出しながら食いダナを探っていきます。
寒イサキは臆病で神経質なので、大きなアクションは好みません。
シャクってコマセを出すときもあまり派手に揺すらないでください。
そして、コマセを出した後リールを2~3回巻いて誘うときは、急がずゆっくりリールを巻くようにしましょう。
これも、速い動きにはついていけない寒イサキの習性を生かした釣り方です。
ゆっくりリールを巻いて止め、2~3秒アタリを待ってからアタリがなければまたコマセを振ります。
そして、再度リールを巻いて2~3秒待って・・・という動きを繰り返しながら、5mの範囲を探っていくのです。
これを2往復繰り返した段階でコマセがなくなっているぐらいがちょうど良い目安です。
冬場は特に急に水温が下がると、イサキはそこにいるのに口を使わないときがあります。
そんなときは、細くて長いゴムクッションを活用し、ハリスを思い切って1.5号ぐらいに落とし、ハリも小さめのものに換えてみましょう。
釣り船予約サイト「釣割」のスタッフがオススメするイサキ船はこちら!
【関東イサキ船】人気ランキング
【関東イサキ船】価格ランキング
「船釣り」カテゴリの人気記事
- クリオネの生態と飼育方法は驚きの連続!実は◯◯◯の仲間で、捕食中は天使から悪魔に変貌!
- 春の東京湾トラフグを完全マスター!ワイヤー仕掛けの作り方もイチから解説!(一郎丸/三浦半島鴨居大室港)
- 鹿島沖のヤリイカ開幕良型主体で好スタート
- 磯竿3号は超使える!特徴や使い道を徹底解説!人気メーカーのおすすめ磯竿もピックアップ!
- オジサンは美味しい魚!?特徴やさばき方、食べ方を徹底解説!変わった名前の魚もご紹介
- 【トラフグ】東京湾で乗っ込みの大型トラフグを釣る!Xデーを制するためのノウハウをご紹介!(吉久/東京湾奥浦安)
- プロが検証!タイラバでアマダイは釣れるのか?アマラバのタックル・仕掛け・基本釣法も徹底解説!
- 茨城のメバル五目を無双するタックル&テクニックをご紹介!(幸栄丸/茨城県鹿島港)
「釣り方」カテゴリの人気記事
- 春の東京湾トラフグを完全マスター!ワイヤー仕掛けの作り方もイチから解説!(一郎丸/三浦半島鴨居大室港)
- 【トラフグ】東京湾で乗っ込みの大型トラフグを釣る!Xデーを制するためのノウハウをご紹介!(吉久/東京湾奥浦安)
- プロが検証!タイラバでアマダイは釣れるのか?アマラバのタックル・仕掛け・基本釣法も徹底解説!
- 茨城のメバル五目を無双するタックル&テクニックをご紹介!(幸栄丸/茨城県鹿島港)
- ヤリイカ釣りの決定版!仕掛けのセッティングから取り込みまでのノウハウをエキスパートがイチから伝授!【前編】(しまや丸/南房乙浜港)
- 【もう迷わない!合わせの秘訣】ヒラメ
- プロが検証!一つテンヤマダイは遊動式が釣りやすいって本当?アタリに合わせない実釣の結果はいかに!?
- 外房の寒サバ完全攻略法!手返し良く釣るコツや取り込み方、仕掛けを徹底解説します!
人気記事














