
【釣果速報】福岡県木鶏丸でマダイ絶好調!トップ20匹!三連休は大物マダイを捕まえに行きませんか?
2025年9月9日(火)、福岡県の木鶏丸が好釣果を上げました。
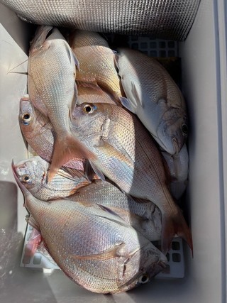
釣果の詳細はこちらです!
| 魚種 | サイズ | 数 |
|---|---|---|
| マダイ | 20~40cm | 2~20匹 |


船長によると、
・朝まずめ小鯛、チダイ、ヒレコダイが多かったですが、よくあたっていました。潮がトロむとあたりが、遠くなりましたが、潮が変わり後半は、釣る人、入れ食いで、真鯛を上げられていました。大鯛は上がりませんでしたが、これから、彼岸鯛期待大です。
とのことです。
今後の釣行も期待できそうですね!
ぜひこのチャンスを逃さないようにしてください!
「釣果ニュース【速報】」カテゴリの人気記事
- 【釣果速報】神奈川県大松丸で今日もギガアジ釣れる!釣り人憧れの巨大アジを狙うなら今すぐ乗船予約をしよう!
- 【釣果速報】2.20kgヒラメ・4.50kgワラサ・オオモンハタ1.40kgをキャッチ!さらなる大物を目指すなら神奈川県丸伊丸にみんな集まれ!
- 【釣果速報】神奈川県つね丸でマダイ絶好調!アジ・イナダ・クロムツなど人気魚種も続々キャッチ!今後の釣行にも期待大!
- 【釣果速報】神奈川県正海丸でマダイ最大2.00kgヒット!船釣りデビューするならココに決まり!!今すぐ乗船してこの波に乗ろう!
- 【釣果速報】千葉県第2美吉丸で高級魚カサゴが順調に上がる!今すぐ乗船してワンランク上の釣果を目指せ!
- 【釣果速報】千葉県第三松栄丸で5.34kgのヒラメがヒット!大物狙いの方は今すぐ乗船を!
- 【釣果速報】静岡県南伊豆忠兵衛丸でキンメダイ・アブラボウズ・ソコダラを捕獲!深海に潜む真っ赤な高級魚を探しに行こう!
- 【釣果速報】神奈川県広島屋でシロギス全員ゲットで絶好調!トップ80匹でお土産ばっちり!釣れてる今、行くしかないっしょ!
「船釣り」カテゴリの人気記事
- 春の東京湾トラフグを完全マスター!ワイヤー仕掛けの作り方もイチから解説!(一郎丸/三浦半島鴨居大室港)
- クリオネの生態と飼育方法は驚きの連続!実は◯◯◯の仲間で、捕食中は天使から悪魔に変貌!
- タイノエの正体に迫る!奇妙な生態から危険性、食べ方まで徹底解剖!その他の寄生虫もご紹介します
- 【トラフグ】東京湾で乗っ込みの大型トラフグを釣る!Xデーを制するためのノウハウをご紹介!(吉久/東京湾奥浦安)
- リールの下巻きを徹底解説!手順やおすすめのライン、便利アイテムも一挙ご紹介!
- 磯竿3号は超使える!特徴や使い道を徹底解説!人気メーカーのおすすめ磯竿もピックアップ!
- トップシーズンへ突入提灯行列を楽しむなら今
- プロが検証!一つテンヤマダイは遊動式が釣りやすいって本当?アタリに合わせない実釣の結果はいかに!?
「釣り船」カテゴリの人気記事
- 【釣果速報】神奈川県大松丸で今日もギガアジ釣れる!釣り人憧れの巨大アジを狙うなら今すぐ乗船予約をしよう!
- 【釣果速報】2.20kgヒラメ・4.50kgワラサ・オオモンハタ1.40kgをキャッチ!さらなる大物を目指すなら神奈川県丸伊丸にみんな集まれ!
- 【釣果速報】神奈川県つね丸でマダイ絶好調!アジ・イナダ・クロムツなど人気魚種も続々キャッチ!今後の釣行にも期待大!
- 【釣果速報】神奈川県正海丸でマダイ最大2.00kgヒット!船釣りデビューするならココに決まり!!今すぐ乗船してこの波に乗ろう!
- 【釣果速報】千葉県第2美吉丸で高級魚カサゴが順調に上がる!今すぐ乗船してワンランク上の釣果を目指せ!
- 【釣果速報】千葉県第三松栄丸で5.34kgのヒラメがヒット!大物狙いの方は今すぐ乗船を!
- 勘次郎丸で特大サイズの金アジを大量確保!ブランド魚爆釣の秘密は船長特製の「アレ」だった!【口コミ多数掲載】
- 【釣果速報】静岡県南伊豆忠兵衛丸でキンメダイ・アブラボウズ・ソコダラを捕獲!深海に潜む真っ赤な高級魚を探しに行こう!
人気記事













